Badai Yasi dekati Australia

Sumber gambar, AP
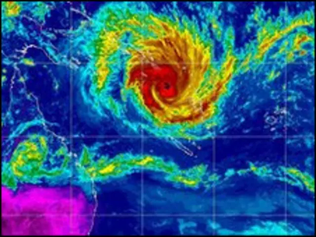
Belum selesai urusan banjir, kini Australia sudah harus bersiap diri untuk menghadapi bencana lainnya. Kali ini yang akan mengancam Australia adalah Badai Yasi yang dilaporkan kini mendekati Queensland, dan diperkirakan akan menjadi topan yang paling mematikan dalam sejarah Australia.
Kepala negara bagian Queensland Anna Bligh mengatakan badai ini akan sangat ''merusak'' dan oleh karena itu negara bagian ini akan menghadapi ''sebuah masa yang menakutkan''.
Badai Yasi telah ditingkatkan menjadi kategori lima atau yang paling berbahaya.
Militer saat ini mulai mengevakuasi rumah sakit di kawasan utara kota Cairns sementara warga di kawasan pesisir pantai diminta untuk mengungsi ke daerah yang lebih aman.
Badan Meteorolgi memperingatkan kalau Badai Yasi ini ''memiliki ancaman yang serius bagi kehidupan dan properti yang berada di kawasan perlintasannya terutama diantara Cairns dan Townsville''
''Bisa berdampak lebih mengancam dari yang pernah kita alami sebelumnya,'' demikian isi peringatan tersebut.
Yasi, saat ini berada di sekitar 555km timur Cairns dan Townsville, dan diperkirakan akan menghantam daratan pada Rabu malam waktu setempat.

Pusat badai ini kecepatan angin bisa mencapai di atas 295 km/jam.
"Selama 24 jam ini kita akan menghadapi angin dengan kekuatan yang menakutkan, kemungkinan besar akan menyebabkan gangguan listrik dan telepon, serta ancama hujan deras'', kata Anna Bligh.
"Warga diminta untuk bersiap menghadapi ini, karena diperkirakan badai akan semakin menguat setelah mencapai daratan''.
Badai Yasi ini juga akan menghentikan aktifitas bandara Cairns, demikian halnya dengan layanan kereta dan pelabuhan yang sudah ditutup sebelumnya.
Di Townsville dilaporkan kalau kepanikan melanda warga. Banyak warga yang kini memburu persediaan makanan untuk berjaga-jaga apabila badai berlangsung lama.
Seorang warga Tracy Gibbons, mengatakan ''ada kegilaan di toko-toko. Warga bahkan bisa saling membunuh untuk mendapatkan makanan dan minuman sebelum badai datang.''
Yasi diperkirakan lebih kuat dibanding Badai Larry, yang menghantam Queensland Maret 2006 dan menyebabkan ribuan orang kehilangan tempat tinggal.
Bulan lalu negara bagian Queensland juga terkena bencana banjir yang luas dan menimbulkan korban jiwa.





























